

BİNGÖL BELEDİYESİ, ŞEHİR MERKEZİNDEKİ DÖRT ANA KAVŞAĞI YENİDEN DÜZENLEYEREK, HEM ULAŞIM AĞINI DAHA KONFORLU HALE GETİRECEK HEM DE VATANDAŞLARA KOLAY VE GÜVENLİ ULAŞIM İMKANI SAĞLAYACAK. İHALE 12 TEMMUZ 2024 TARİHİNDE EKAP ÜZERİNDEN GERÇEKLEŞTİRİLECEK.

Bingöl Belediyesi, şehir merkezindeki dört ana kavşağı yeniden düzenleyerek, hem ulaşım ağını daha konforlu hale getirmeyi hem de vatandaşlara kolay ve güvenli ulaşım imkanı sağlamayı hedefliyor.
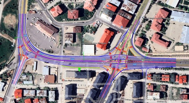
Ulaşım ağlarındaki başarılı çalışmalarıyla şehrin trafiğine nefes aldırarak, yolları konforlu hale getiren Bingöl Belediye Başkanı Erdal Arıkan, araç ve yaya trafiğini en üst seviyeye çıkaracak çalışmalarına bir yenisini daha ekledi. “Konforlu yollar, kolay ve güvenli ulaşım” hedefi doğrultusunda PTT Kavşağı, Tugay Tepesi, Askerlik Şubesi Kavşağı ile Kültür Kavşağı yapım işi ihalesi ilanına çıktı. İhale kapsamında PTT Kavşağı ile Tugay Tepesi arasında refüj düzenlemesi ile alt yapı çalışmaları da yapılacak. Projenin, 12 Temmuz 2024 tarihinde Elektronik Kamu Alımları Platformu üzerinden ihaleye çıkağı ve yer tesliminden itibaren 100 gün içerisinde tamamlanacağı bildirildi.
Yeni kavşak düzenlemeleri ile birlikte trafik akışının daha düzenli ve güvenli hale geleceğini vurgulayan Başkan Arıkan, “Geçmiş dönemde özellikle ana arterlerde yaptığımız yol ve kaldırım genişletme çalışmalarıyla şehir trafiğini büyük oranda rahatlatmıştık. Şimdi ise şehir merkezinin kalbinde bulunan kavşaklar, tamamen yenilenerek modern bir görünüme kavuşacak. Yeni trafik sinyalizasyon sistemleri ve yaya geçitleri ile donatılacak. İhale sürecinin akabinde başlayacak olan bu çalışmaların, şehir trafiğinde büyük bir rahatlama sağlayacağına inanıyoruz. Bingöl Belediyesi olarak, modern ve işlevsel kavşak düzenlemeleri ile şehir içi ulaşımı daha konforlu hale getirmeyi amaçlıyoruz. Bu önemli projede emeği geçen herkese teşekkür ediyor, şehrimiz ve vatandaşımız için şimdiden hayırlı olmasını diliyorum” ifadelerini kullandı.







































Yorum Yazın