

ANTALYA'NIN ALANYA İLÇESİNDE AHŞAP ÜRÜNLERİ MAĞAZASINDA ÇALIŞAN VE GEÇEN HAFTA EŞİ İLE BİRLİKTE TATİL İÇİN MISIR'A GİDEN FATİH GARGI, BALIKLARA OLAN SEVGİSİNİ GÖSTERMEK İÇİN YANINDA GÖTÜRDÜĞÜ ALANYA'NIN S PASTASINI KIZILDENİZDEKİ BALIKLARA YEM OLARAK VERDİ

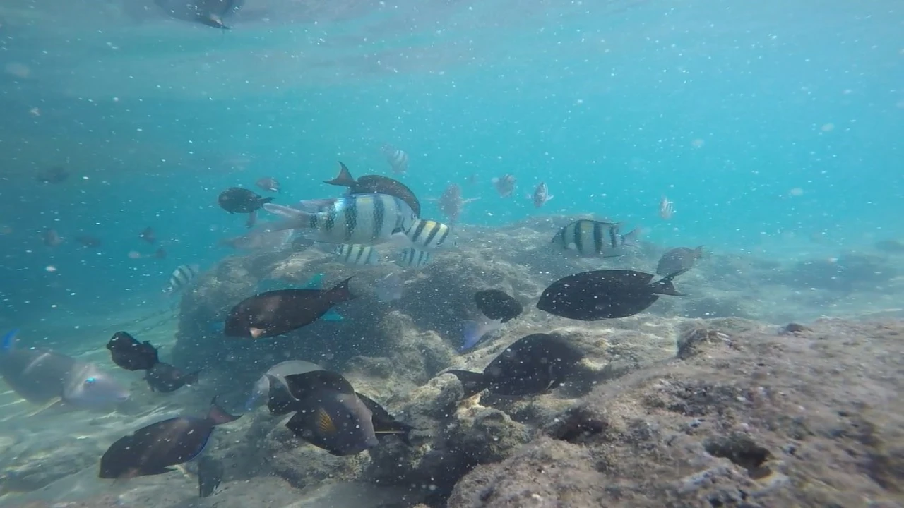
Antalya’nın Alanya ilçesinde ahşap ürünleri mağazasında çalışan ve geçen hafta eşi ile birlikte tatil için Mısır’a giden Fatih Gargı, balıklara olan sevgisini göstermek için yanında götürdüğü Alanya’nın S pastasını Kızıldeniz’deki balıklara yem olarak verdi. Çekilen görüntü kısa sürede sosyal medyada viral olurken, balıkların pastayı yemesi ise izleyenlerin yüzünü güldürdü.
Geçen hafta ailesi ile birlikte tatil için Mısır’ı seçen Fatih Gargı, Kızıldeniz’de bulunan balıklara Alanya’dan yanında götürdüğü S pastasını verdi. Denizin içinde S şeklindeki pastayı balıklara veren Gargı’nın çektiği görüntüler ise kısa sürede gündem oldu. Çekilen videoda ise pastayı yem olarak gören yüzlerce balık kartpostallık görüntü oluşturdu.
Çektiği videonun kısa sürede bu kadar rağbet görmesinden dolayı mutlu olduğunu aktaran Fatih Gargı, "Ben Fatih Kargı, Alanyalıyım. Geçen hafta eşim Yeliz Kargı ile beraber Ürdün, Petra, Mısır Piramitleri tatilimizde Kızıldeniz’de balık hayranı olarak balıklarla beraber birtakım videolar çektim. Bu da internette birçok tıklanmaya sebep olarak haber oldu. Çok mutluyum. Gittiğim tatillerde genellikle Alanya’mızın S pastasını ve çirdimini yolluk olarak yanımda götürürüm. Oraya gittiğimde balık tutkunu biri olarak balıklarının bizim S pastasına nasıl bir tepki vereceğini merak ettim. Bu sebepten dolayı böyle bir video çektim. Çok ilgi gördü; izleyenlere de, güzel yorum yapanlara da arayıp mesaj atanlara da çok teşekkür ediyorum" dedi.












































Yorum Yazın